VIDP / DEL
Чарты Jeppesen INDIRA GANDHI INTL, Delhi, India
Найди аэропорт по коду ICAO
В нашей базе более 6000 аэропортов со всего мира и навигационные чарты к ним. Мы обновляем данные аэропорта и чарты каждые 28 дней, согласно текущего Airac Сycle.
Данные аэропорта VIDP
Данные аэропорта
ВПП
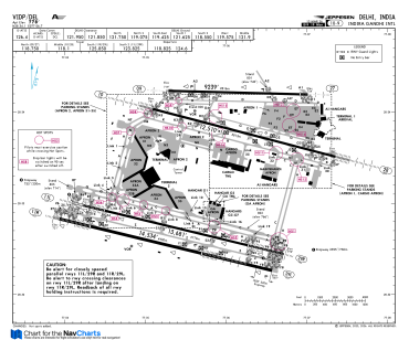
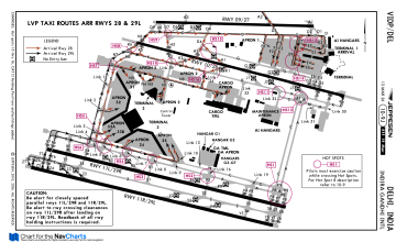
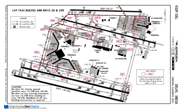
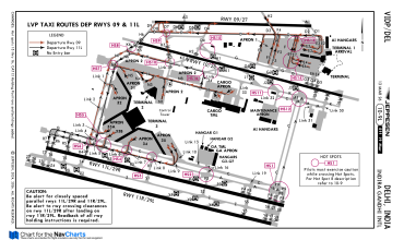
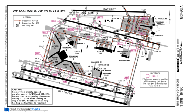
Чарты для VIDP
Нет чартов для этого раздела
Последние обновления аэропортов
NavCharts использует самую свежую навигационную базу Airac и графические чарты аэропортов, на основе которых строит маршрут и отображает все процедуры полета.