Загрузка...

UUEE / SVO

Чарты Jeppesen SHEREMETYEVO, Moscow, Russia

Найди аэропорт по коду ICAO

В нашей базе более 6000 аэропортов со всего мира и навигационные чарты к ним. Мы обновляем данные аэропорта и чарты каждые 28 дней, согласно текущего Airac Сycle.

Данные аэропорта UUEE

Данные аэропорта
ВПП

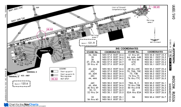
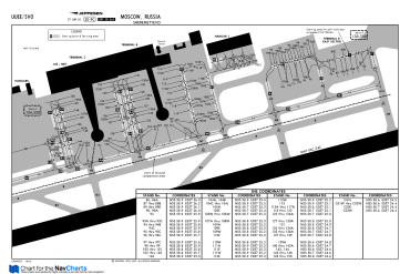
Чарты для UUEE

Последние обновления аэропортов

NavCharts использует самую свежую навигационную базу Airac и графические чарты аэропортов, на основе которых строит маршрут и отображает все процедуры полета.

Вверх