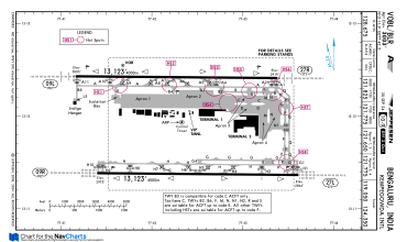
Информация и чарты Jeppesen для VOBL

В NavCharts вы найдете самые свежие чарты Jeppesen более чем 13 тысяч аэропортов мира. Все чарты разделены по основным разделам: SIDs, STARs, Approaches, чарты аэропорта, стоянок, гейтов, рулежных дорожек и т.д.

Внимание!

Полная информация и чарты Jeppesen доступны только авторизованным пользователям в планировщике NavCharts.
Тут отображаются только общая информация аэропорта и процедуры.

Последние обновления чартов

NavCharts использует самую свежую навигационную базу Airac и графические чарты аэропортов, на основе которых строит маршрут и отображает все процедуры полета.

Внимание!

Любая информация на этом сайте не предназначена для осуществления полетов и воздушной навигации в реальном мире! Это не законно и не безопасно! Информация на сайте может быть использована только для виртуальных полетов на домашнем компьютере!