Загрузка...

KLAS / LAS

Чарты Jeppesen REID INTL, Las Vegas, NV, United States

Найди аэропорт по коду ICAO

В нашей базе более 6000 аэропортов со всего мира и навигационные чарты к ним. Мы обновляем данные аэропорта и чарты каждые 28 дней, согласно текущего Airac Сycle.

Данные аэропорта KLAS

Данные аэропорта
ВПП

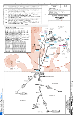
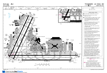
Чарты для KLAS

Последние обновления аэропортов

NavCharts использует самую свежую навигационную базу Airac и графические чарты аэропортов, на основе которых строит маршрут и отображает все процедуры полета.

Вверх