Загрузка...

LTBA / ISL

Чарты Jeppesen ATATURK INTL, Istanbul, Turkey

Найди аэропорт по коду ICAO

В нашей базе более 6000 аэропортов со всего мира и навигационные чарты к ним. Мы обновляем данные аэропорта и чарты каждые 28 дней, согласно текущего Airac Сycle.

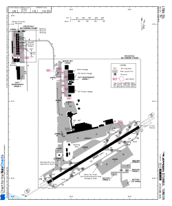
Данные аэропорта LTBA

Данные аэропорта
ВПП

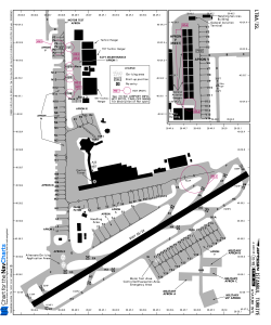
Чарты для UUEE

Последние обновления аэропортов

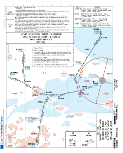
NavCharts использует самую свежую навигационную базу Airac и графические чарты аэропортов, на основе которых строит маршрут и отображает все процедуры полета.

Вверх